|

العاصفة "ميليسا" تتحول إلى إعصار من الفئة الثالثة مهددة بفيضانات كارثية في شمال الكاريبي

الكاتب : الحدث 2025-10-26 12:34:06

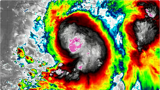
تحولت العاصفة "ميليسا" إلى إعصار كبير من الفئة الثالثة مهددة بفيضانات كارثية في شمال الكاريبي.

ومن المتوقع هطول أمطار غزيرة على جامايكا والمناطق الجنوبية من هايتي وجمهورية الدومينيكان حتى يوم الاثنين المقبل.

وكان مركز الإعصار ميليسا يقع على بعد حوالي (200) كيلومتر جنوب شرق كينجستون عاصمة جامايكا، وحوالي (455) كيلومترًا جنوب غرب بورت أو برنس عاصمة هايتي.

وبلغت سرعة رياح الإعصار القصوى المستمرة (185) كيلومترًا في الساعة، وكان يتحرك غربًا بسرعة (6) كيلومترات في الساعة، وفق ما ذكره مركز الأعاصير الوطني الأمريكي في ميامي.